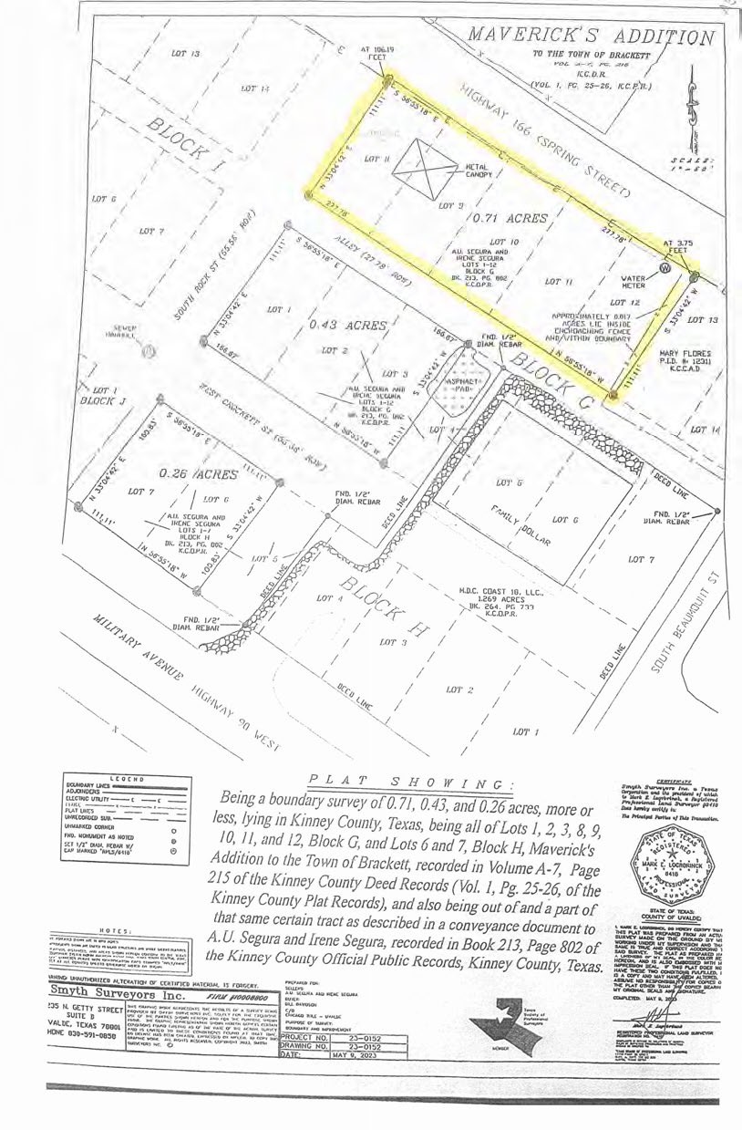
Property #026 : City Lots 8-12, 0.71 Ac, Kinney Co Brackettville, Tx 78832
• Great Location
• City Lot
• Great Visibility
• City Utilities
Prime opportunity to own a .71 acre (30,927 sq. ft.) commercial tract of land with endless development potential. Located on Highway 166 also known locally as Spring Street. This lot is a blank canvas for your next project. This location insures high visibility and convenience. This tract of land has an approximate 800 sq. ft. concrete slab with a metal canopy. This lot provides more than 277 linear feet of Spring Street frontage. This lot presents a unique opportunity to create something truly special in the Texas Hill Country.
List Price: $89,900
Adobe Printable Brochure Here
• Great Location
• City Lot
• Great Visibility
• City Utilities
Prime opportunity to own a .71 acre (30,927 sq. ft.) commercial tract of land with endless development potential. Located on Highway 166 also known locally as Spring Street. This lot is a blank canvas for your next project. This location insures high visibility and convenience. This tract of land has an approximate 800 sq. ft. concrete slab with a metal canopy. This lot provides more than 277 linear feet of Spring Street frontage. This lot presents a unique opportunity to create something truly special in the Texas Hill Country.
List Price: $89,900
Adobe Printable Brochure Here
Phone: 830-232-5242 - Fax: 830-232-4283, 1260 S US HWY 83, P.O. Box 606, Leakey, Tx. 78873, Dub Suttle, Broker
Click an image to see a larger version











